Обяви За нас Контакти
Продава ПАРЦЕЛ
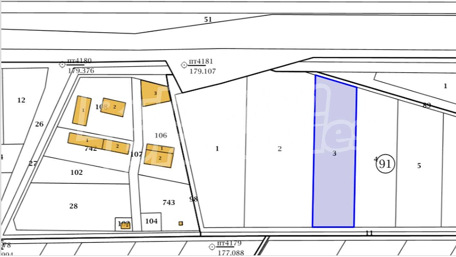
град Стара Загора, Индустриална зона - изток
554 400 €
1 084 312.15 лв.

(120 €, 234.70 лв./m2)
Цената е с включено ДДС
Коригирана в 16:10 на 29 май, 2025 год.
Обявата е посетена 1428 пъти.
Площ:
4620 m2
Регулация:
НЕ
Ток:
НЕ
Вода:
НЕ

Описание на имота:


За повече информация обадете ни се на тел: 0882 817 477 или 042 958 551 и цитирайте референтния номер на имота: SZ 83466.

Отговорен брокер: Мирослав Караколев

Представяме Ви парцел земеделска земя с площ от 4 620 кв.м. в местност Смокините в гр. Стара Загора, с инвестиционен потенциал, в зона отредена за свободно застрояване (предимно промишлено строителство), подходящ за изграждане на производствена база, складове, сервиз.

Текущо състояние на имота е земеделска земя, 3 категория, овощна градина, намира се на черен път, в близост до урбанизирана територия.

Има възможност за закупуване на съседни два парцела.

Оглед на имота
Можем да организираме оглед на имота в удобно за вас време. За целта, свържете се с отговорния за офертата брокер и му кажете кога бихте искали да направите оглед.

Резервация на имота
Имотът може да бъде резервиран и свален от продажба със заплащане на депозит, след което се прекратява провеждането на огледи с други купувачи и започва подготовка на документите за сключване на предварителен и окончателен договор. Свържете се с отговорния брокер за този имот за подробна информация относно процедурата на покупка и начините за плащане.

Допълнителни услуги и следпродажбено обслужване
Ние сме реномирана компания и ще бъдем с вас не само по време на покупката, но и след това, осигурявайки ви допълнителни услуги по ваше изискване с цел пълноценно и безпроблемно ползване на новозакупения имот. Услугите, които можем да предложим, включват застраховка на движимо и недвижимо имущество, застраховка живот, медицинско и автомобилно застраховане, строителни и ремонтни дейности, обзавеждане, юридически и счетоводни услуги и др.
...
За контакт:
0882817477
Брокер:
Мирослав Караколев
0882 817 477
Офис: Стара Загора, ул. 'Хаджи Димитър Асенов' 87
Още оферти от брокера: Продава | Дава под наем | Купува | Наема
Агенция:
БЪЛГЕРИАН ПРОПЕРТИС СТАРА ЗАГОРА
042 958 551; 0888 366 146
БЪЛГЕРИАН ПРОПЕРТИС СТАРА ЗАГОРА logo
Медал за прослужено време
В imot.bg от 2011 г.
stzbulprop.imot.bg
Адрес:
област Стара Загора, гр. Стара Загора, Бизнес Център Рамини ул. 'Хаджи Димитър Асенов' 87
http://www.bulgarianproperties.bg
ИЗПРАТИ ЗАПИТВАНЕ
ИЗПРАТИ ЗАПИТВАНЕТО

Продава ПАРЦЕЛ
град Стара Загора, Индустриална зона - изток
Обява: 1r170108972988613

554 400 €
1 084 312.15 лв.
(120 €, 234.70 лв./m2)

Цената е с включено ДДС
ЗАПАЗИ ОБЯВАТА

Местоположение: град Стара Загора, Индустриална зона - изток

Допълнителни данни за имотите в района и сравнение с други райони

Покажи

Период

и 2 месеца

* Средните цени са определени чрез медианна стойност